随着医疗标准的快速发展,对多重免疫分析的需求不断增加。平面检测和悬浮检测技术相继发展,并在临床中得到广泛应用。与平面检测的定位编码方法相比,悬浮检测的荧光编码方法具有反应动力学更快、灵活性更高和灵敏度更强等优点。然而,现有的商业悬浮检测依赖流式细胞仪进行微球的解码和分析,导致成本高且适用性有限。

近期,清华大学深圳国际研究生院孙树清研究员团队提出了一种利用微流控芯片合成和精确固定低密度量子点编码磁性微珠的新方法,用于多重免疫检测,并通过镍图案、磁铁和通道的集成展示了精确捕获单个微珠的能力,利用荧光编码进一步增强了该方法进行多重免疫检测的能力。相关研究以“Microfluidic synthesis and accurate immobilization of low-density QD-encoded magnetic microbeads for multiplex immunoassay”为题目,发表在期刊《Journal of Materials Chemistry B》上。
本文要点:
1、本文介绍了一种基于微流控技术制备的低密度量子点编码磁性微球,并将其应用于多重免疫分析。
2、研究中采用甲基丙烯酸异冰片酯(IBOMA)作为主要单体,制备出密度约为1.14 g/mL的磁性微球。
3、通过集成镍图案、磁铁和微通道,成功实现了对单个微球的精确捕获,克服了传统方法中微球重叠的问题。
4、利用量子点的荧光编码,验证了对三种不同IgG的多重免疫分析能力,并建立了基于夹心免疫分析的抗人IgG检测校准曲线,检测限约为60 ng/mL。
5、该策略展示了在生物医学检测中的良好应用前景,具有低成本、可重复使用和高捕获效率等优点。
使用低密度微球在多重免疫分析中具有以下优势:
1、易于悬浮:低密度微球(约1.14 g/mL)在水相中更容易悬浮,便于操作和分析。
2、精确捕获:低密度特性使得微球能够在磁场中被精确捕获,避免了微球之间的重叠和堆叠,从而提高了分析的准确性。
3、高灵敏度:由于微球之间没有重叠,荧光信号的解码更加清晰,能够提高检测的灵敏度和特异性。
4、低制造成本:采用微流控技术和低密度材料制备微球,降低了生产成本,使得该技术更具可行性。
5、多重分析能力:通过量子点编码,能够同时检测多种生物分子,扩展了免疫分析的应用范围。
6、可重复使用:低密度微球的设计使其在多次实验中仍能保持良好的性能,增加了实验的经济性和效率。
微流控芯片在制备和捕获低密度磁性微珠方面面临哪些技术挑战,本文是如何解决这些挑战的?
1、精确控制微珠密度:为了制备低密度的微珠,本文选择了甲基丙烯酸异冰片酯(IBOMA)作为主要单体,因为它具有较低的密度和聚合收缩率,从而确保了微珠的低密度特性。
2、微珠的均匀性和磁性响应:通过微流控芯片的精确控制,可以生成高度均匀的微珠,并通过调整配方和工艺参数确保微珠具有良好的磁性响应。
3、精确捕获单个微珠:传统的镍图案可能会捕获多个微珠,导致分析错误。本文通过调整镍图案的尺寸和微珠溶液的流向,确保每个镍图案之间最多只能捕获一个微珠。
4、避免荧光干扰:由于荧光编码微珠在检测时可能会发生荧光重叠,本文通过精确控制微珠的分布和捕获位置,确保了荧光信号的清晰可辨。
5、重复性和可扩展性:本文中使用的镍图案制备方法具有良好的重复性,并且可以通过改变图案设计来扩展捕获不同类型或不同数量微珠的能力。
6、成本效益和操作简便性:本文采用的镍粉填充模板法相比于电镀方法更为简单、成本低廉,并且易于大规模生产。

图1:展示了微流控芯片的示意图以及微珠的聚合过程。(a)微流控芯片的流动聚焦部分和微珠聚合的示意图。(b)在喷嘴处生成的液滴。(c)液滴流过曲折通道。(d)微珠的光学图像。

图2:展示了不同编码的磁性微珠。(a)嵌入620nm发射峰量子点的微珠的荧光图像和相应的光学图像(插图)。(b)嵌入450nm发射峰量子点的微珠的荧光图像和相应的光学图像(插图)。(c)嵌入450nm和620nm发射峰量子点(质量比为4:1)的微珠的荧光图像和相应的光学图像(插图)。(d)所有三种微珠的荧光图像和相应的光学图像(插图)。(e)HSV色彩空间中像素的分布。(f)微珠尺寸分布。

图3:展示了镍图案的制备流程。(a)制备镍图案的流程图。(b)镍图案的光学图像。(c)镍图案的扫描电子显微镜(SEM)图像。(d)图3c中镍(蓝色点)的能谱分析(EDS)分析。(e)微珠的荧光图像和相应的光学图像(插图)。

图4:展示了镍图案与微通道的集成。(a)镍图案和微通道集成的顶视图和侧视图。(b)镍图案捕获的微珠的光学图像和相应的荧光图像。

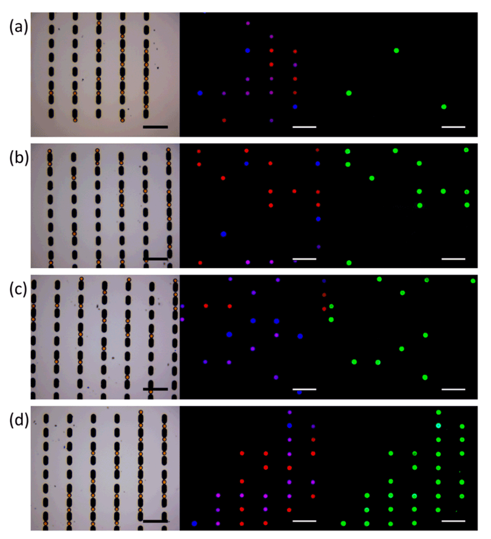
图5:展示了使用微珠进行的免疫分析。(a)至(d)展示了不同组微珠的光学图像、量子点荧光图像和DyLight 488标记抗IgG的荧光图像。

图6:展示了抗人IgG浓度与微珠荧光强度之间的关系。(a)镍图案捕获的微珠的荧光图像。(b)抗人IgG浓度与微珠荧光强度的关系图。
论文链接:https://doi.org/10.1039/D4TB01585A






